Trang nhất » Rao vặt » Bất động sản » Đất ở - Đất thổ cư

TÌM KIẾM
Đất ở - Đất thổ cư

Bán Gấp siêu phẩm Đất nền Hoà Lạc sát Metro city Hoà Lạc, HN. DT 100m2 MT 6,2m giá thoả thuận

Thông tin mua bán
Mã tin
V1048775
Giá
Thỏa thuận
Ngày đăng
21/04/2026
Hết hạn
21/07/2026
Xem :
11
Danh mục đăng tin
Nơi rao
H. Quốc Oai » Hà Nội
Loại tin đăng
Cần bán
Họ tên
lưu Văn Hưng
Điện thoại
0387098386
Địa chỉ
88 lê đức thọ
Nội dung chi tiết
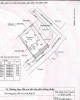
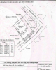
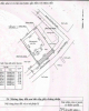
Cc gửi bán gấp mảnh đất đẹp full thổ cư hàng hiếm còn xót lại. DT 100m² vuông vắn , MT 6m thuận tiện ô tô ra vào thoải mái trước đất đường nội khu 2 ô tô tránh nhau chạy quanh. 1- Vị trí : víp sát khu đô thị : MeTro CiTy , tái định cư PHú Cát, Vai Réo Gần tổ hợp y tế bệnh viện TƯ 2- Bám QL 21 mở rộng 80m lòng đường, ra Metro số 12 , Metro số 5 cổng Trường ĐH Quốc Gia và CNC Hoà Lạc chỉ 3p di chuyển về nội đô chỉ 15 p rất thuận tiện. 3 - Nằm trong lõi đô thị bán kính 3km đi các khu du lịch , resotr nghỉ dưỡng : Sân gol Đồng Mô, Tản Đà,Thiên Sơn Suối Ngà, Ao vua... 4-Đất phù hợp đầu tư tích sản , xây nhà căn hộ ccmn, nhà nghỉ... tạo dòng tiền lợi nhuận tốt vì nhu cầu cán bộ sinh viên về rất đông . 5- gọi ngay e Hưng 0387098386 để xem đất và không bỏ lỡ cơ hội cọc và sở hữu lô đất đẹp này.
Tin đăng cùng chuyên mục