Trang nhất » Rao vặt » Bất động sản » Đất ở - Đất thổ cư

TÌM KIẾM
Đất ở - Đất thổ cư

Đất nền Phú Cát - Đầu tư Lộc Phát chỉ nhỉnh 3 tỷ.

Thông tin mua bán
Mã tin
V1048859
Giá
Thỏa thuận
Ngày đăng
21/04/2026
Hết hạn
21/07/2026
Xem :
4
Danh mục đăng tin
Nơi rao
TX Sơn Tây » Hà Nội
Loại tin đăng
Cần bán
Họ tên
Trịnh Thị Hồng Mai
Điện thoại
0968274096
Địa chỉ
Smart city Tây Mỗ-Hà Nội
Nội dung chi tiết
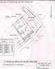
FO 100m² Full Thổ Cư Vị Trí Vàng Trung Tâm Hoà Lạc Lô cực hiếm mở bán trực tiếp từ CĐT, chưa qua trung gian Trục chính đường lớn 3 ô tô tránh, tiềm năng thương mại vượt trội Cơ hội xuống tiền ngay hôm nay để đón sóng tăng giá Hoà Lạc Giá chỉ nhỉnh 30 triệu/m² mức hiếm có trong khu vực trung tâm Liên hệ ngay Em Mai: 0968.274.096 (Số lượng hạn chế ưu tiên khách chốt sớm )
Tin đăng cùng chuyên mục